Huracán Melissa golpea indirectamente con fuertes lluvias la vertiente del Pacífico
El Instituto Meteorológico Nacional (IMN) informó que el Huracán Melissa golpea indirectamente con fuertes lluvias la vertiente del Pacífico por la influencia indirecta del huracán Melissa que mantiene activa la Zona de Convergencia Intertropical sobre Costa Rica, generando abundante humedad y lluvias en gran parte del país, especialmente en la vertiente del Pacífico.
Según el informe del IMN, los acumulados de lluvia desde las 7:00 a.m. han sido significativos, con montos entre 10 mm y 20 mm en el Pacífico Norte, alcanzando hasta 50 mm en Pinilla. En el Pacífico Central los máximos han llegado a 30 mm en Herradura, mientras que en el Pacífico Sur se registran hasta 85 mm en Puerto Jiménez.

Fuertes lluvias afectan la vertiente del Pacífico por influencia del huracán Melissa
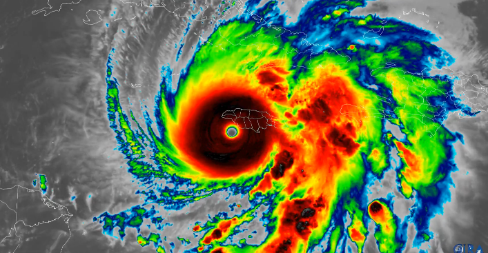
El Centro Nacional de Huracanes de los Estados Unidos (NHC) informó que Melissa se ubicaba sobre Jamaica, desplazándose a 13 km/h con vientos sostenidos de hasta 230 km/h, en categoría 4. Se prevé que las lluvias continúen durante la noche y madrugada, con montos estimados entre 40 mm y 120 mm en el Pacífico.
El IMN advirtió sobre posibles inundaciones en cantones como Santa Cruz, Nicoya, Lepanto, Garabito, Parrita, Osa y Golfito, así como deslizamientos en las montañas del Valle Central “debido a que los suelos se encuentran saturados”. Las autoridades recomiendan precaución y evitar zonas propensas a desbordamientos o tormentas eléctricas.

Finalmente, el meteorólogo Paulo J. Solano S. recordó mantenerse informados a través de los canales oficiales del IMN: “Facebook, X y el sitio web www.imn.ac.cr”. El próximo informe meteorológico se emitirá a las 10:00 p.m.






